Page suivante
Page précédente
La Queue-les-Yvelines (78940)

Terrain

Réf 622
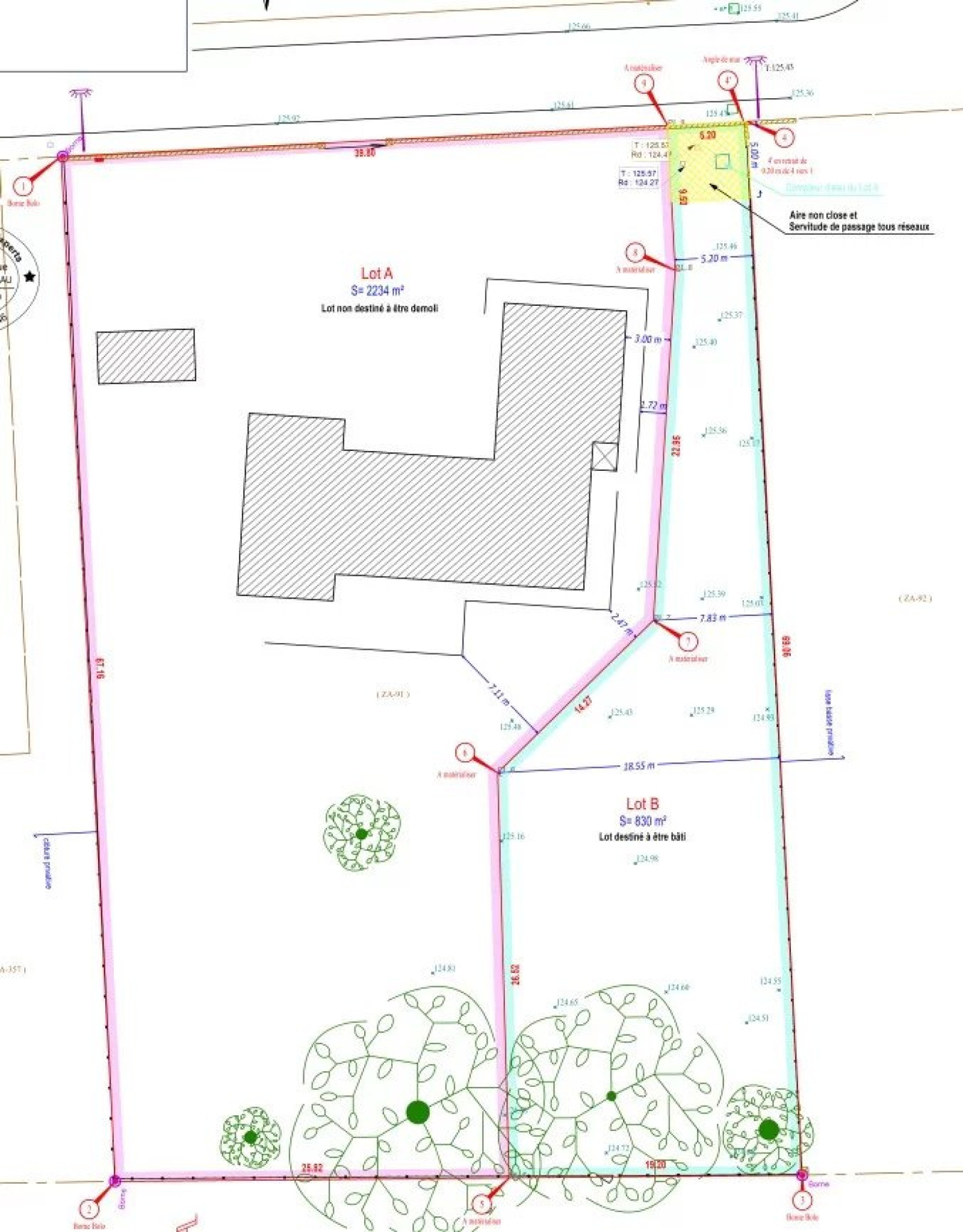
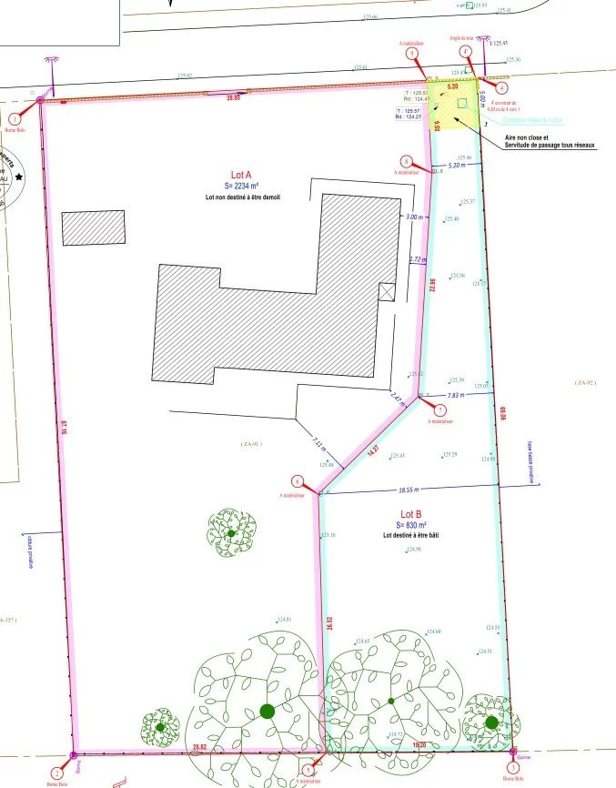
EXCLUSIVITE - Visite virtuelle disponible - Situé sur la commune de la Queue-Lez-Yvelines près de Montfort l'Amaury, à proximité des commerces, terrain à bâtir en lot arrière de 830m². La parcelle est située en zone UH de la commune, l'emprise au sol possible est de 0,25 soit 207m² par plancher. La partie utile rectangulaire fait 26,52m x 18,55m. La construction devra respecter une hauteur maximale de 7m (toit plat en R+1 ou R+C). A la charge de l'acquéreur, un mur devra être construit sur la limite séparative (pour un devis de 43 000 €). Le terrain est en zone d'aléa fort comme régulièrement dans le secteur, l'étude de sol G1 a été réalisée. CU opérationnel positif délivré le 19/12/2022. Les viabilités sont disponibles sur rue. Les informations sur les risques auxquels ce bien est exposé sont disponibles sur le site Géorisques : www.georisques.gouv.fr

Bilan énergétique

Diagnostics énergetiques
A propos de ce bien Caractéristiques de ce bien
  • exposition Sud
  • vue Dégagée,Campagne

Financier

Informations financières
Les honoraires d'agence seront intégralement à la charge du vendeur  

Simulation

Calcul des mensualités
* Champs obligatoires
AGENCE CAP Agence